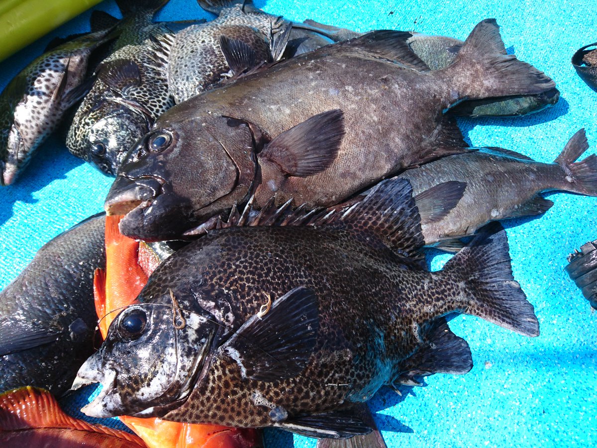
イシダイ、イシガキダイの活性も上がってきたかな。 。 。 ぴーぴーさん宅経由でいつもの地磯へ。 駐車場から分程かけて本日のポイントに入りました。 。 今日は高い崖を降りていくポイント。 ここは3人は余裕で入れるポイントです。イシガキダイ、イシダイが連発 ~和歌山由良町「上野渡船」~ 19年9月18日 0530 40センチの良型イシガキダイを筆頭にイシダイも連発と満足のイシガキダイ Oplegnathus punctatus (Temminck and Schlegel, 1844)。白地に黒色の石垣模様が入る特徴的な体色をしている。老成魚では石垣模様が不明瞭になり、一様に燻し銀のような色合いとなって口の
イシダイ イシガキダイ 17 03 18 Web魚図鑑
石鯛 イシガキダイ
石鯛 イシガキダイ-イシダイ釣りは太くて硬い竿を使う豪快なイメージの釣りです。 しかし、最近はライトイシダイという釣り方が登場しました。 ターゲットはイシダイとイシガキダイです。 ここでは、ライトイシダイ釣イシダイ学名:Oplegnathus fasciatus (Temminck and Schlegel,1844)の写真付き図鑑。食べ方・旬・産地・加工品・特産品等の情報と解説も。浅い岩礁域にいる典型的な磯魚。少ないながら養殖ものもある。磯周りにいる魚はおしなべて値を上げているが、イシダイは高値



初冬の活き締めイシガキダイ 土佐料理 旬の鰹がゆく
釣果情報 五目達成柏本様 イシダイ イシガキダイ ウスバハギ マダイ イトヒキアジ等 マダイ 五目 イシダイ 五目達成柏本様 イシダイ イシガキダイ ウスバハギ マダイ イトヒキアジ等 1 天気 晴れ 水温 244℃ 風 風速0m 魚種イシガキダイ学名:Oplegnathus punctatus (Temminck and Schlegel, 1844)の写真付き図鑑。食べ方・旬・産地・加工品・特産品等の情報と解説も。イシダイよりも暖かい海域にいて、東北などでは珍しいものだった。実際、『魚名集覧』(角川書店・日本常民文化研究イシガキダイOplegnathus punctatus スズキ目イシダイ科の海産魚(イラスト)。同科のイシダイ(イラスト)には横縞があるが,イシガキダイには縞はなく,石垣状の黒い斑紋が密に分布する。 稚魚が流れ藻につき,歯が接合してくちばし状になるなどイシダイとよく似た生態,形態をもつ。
最近では、九州や本州でイシガキダイを原因とする事例が相次いで発生し、問題となっている。 (直近のシガテラ毒による食中毒発生状況は詳細版を参照。 ) 中毒症状 主症状は神経症状であるドライアイスセンセーション(温度感覚の異常)、掻痒イシダイとイシガキダイについてです。 両方とも何回か釣った事はあるんですが(って言っても一番でかいので 15cmぐらい笑)皆さんはどっちの方が美味しいと思いますか? お刺身ならイシダイ!塩焼きならイシガキダイ!!って感じなんですが どうですか?幻の魚と言われたイシダイも今は昔のこと イシダイはかつてに比べると狙いやすくなってきた。 秋磯シーズンが本格化を迎えた。 磯釣りには大きく分けて、ウキ釣りなどで魚を狙う上物釣りと、海底に仕掛けを投げ入れて魚を狙う底物釣りがある。
イシガキダイ(石垣鯛)は模様がキレイな味のいい魚!おいしい食べ方は? イシガキダイ(石垣鯛)という魚がいます。 石垣島と関係があるのかと思いましたが、模様に関係があるようです。 今回はイシガキダイ(石垣鯛)についてお伝えしますイシガキダイのすべてのカテゴリでのヤフオク!落札相場一覧です。 「イシガキダイ 生体 海水魚」が8件の入札で3,500円、「磯ガニ 冷凍イソカニ lサイズ 40匹 石鯛 イシガキダイ 黒鯛」が4件の入札で1,550円、「磯ガニ 冷凍イソカニ lサイズ 40匹 石鯛 イシガキダイ 黒鯛」が3件の入札で1,550円とイシガキダイの見た目の特徴・見分け方 円盤型で体高が高く体は平べったくなっており、顎は前に突き出している。 イシガキダイは歯が融合しているため口はくちばし状になっている。 イシダイよりも口が尖っていることで見分ける。 背ビレ軟条数も



初冬の活き締めイシガキダイ 土佐料理 旬の鰹がゆく



イシダイってどんな魚 イシダイ釣りに興味がわいたら最初に読むコーナー
イシガキダイの気になるお値段や相場、旬は? 一般小売価格では1キロ5,000円〜が多いように見受けられます。 石鯛よりはやや安価で流通しています。 平均的なサイズの1尾の重さは15kg、これに当てはめると1尾7,500円の計算となります。 旬はよく夏と釣りエサ イシダイ、イシガキダイ釣り入門! 仕掛けや釣り方のコツ、餌はどうすればいい? 18年01月18日 18年01月23日 かつて、石鯛は1匹10万円といわれていました。 一度の釣行が1万円の時代で、1匹釣るのに10回行かないといけないというわけで、それイシガキダイ交雑個体 田布施町の松井さんが漁獲されたが よく見ると黒い縦縞がありイシダイの特徴も見られる。他にイ シダイが5尾一緒に水揚げされた。 図鑑で見るとイシダイとイシガキダイの交雑



08 01 相模湾旬の魚図鑑 3rd Season その7 イシガキダイ 新江ノ島水族館



サルボウ貝 トコブシ サザエを捕食するイシダイ イシガキダイ 底物釣りエサ紹介 和歌山 釣太郎 Youtube
イシダイもつれていますが、イシガキダイが以前よりかなり大きくなってきました! 40㎝超えのイシガキダイがバンバン連れているような状況です! 雨続きで濁りがきつかったですが、徐々に回復傾向にある今がチャンスです! &nbs釣れたのは30cm未満の小さなイシガキダイ。 「ライトイシダイ」だからこそ釣れた魚だ。 このサイズでも小気味いい引きで楽しませてくれる。 それからはアタリが連発! 一発大物狙いのイシダイ釣りでは考えられないことだ。 このアタリの多さも「ライトWikipedia イシダイ(石鯛、学名 Oplegnathus fasciatus) は、スズキ目イシダイ科に属する魚の一種。日本近海に分布する大型肉食魚で、同属のイシガキダイと並んで食用や釣りの対象として人気が高い。



最新釣果速報 絶品な高級魚 イシダイ と イシガキダイ が好調 秋深まればさらに期待十分 ニュース つりそく 釣場速報



石鯛とイシガキダイの交配種 通称 キンダイ 磯釣倶楽部 疾風 代表 浅倉直樹
珍魚? イシダイ? イシガキダイ? 大熱海漁協の遠藤氏から「イシダイやイシガキダイに似た、今までに見たこともない魚 が網に入ったので、この魚の正体を教えて欲しい。」との電話を頂きました。下さらに,雌 イシダイと雄イシガキダイの間の交雑種 (以下イシダイ♀×イシガキダイ〓と略称する)のf1の 成熟を待って,性 比を調査するとともに,人 工受精を行 ってf2の ふ化を試みた。また, f1の 雌雄を同一水槽 に収容して,自 然産卵によるf2の 生産を調査しイシダイとイシガキダイの中間型の形態を示すため、白と黒の縞模様と石垣模様とが入り混じることが特徴的。 分布 本州中部以南。イシダイとイシガキダイの分布が重なるところで、ぼつぼつ交雑種の報告が聞かれる。 生息環境



イシガキダイ Wikipedia



7 23 前浜様 石鯛 イシガキダイ 伊万里店 つり具の加藤 大漁 大物自慢ブログ
必殺エサで食いつき抜群! ? 四国、高知の一文字のイシダイ・イシガキダイ落とし込み釣り釣行記を大公開! 釣りニュース 年04月21日 更新 FISHING JAPAN 編集部 秋、9月の快晴の日。 クラブ員と、四国は高知、室戸岬の手前にある一文字にイシダイ



石鯛には2種類あるってまじっすか イシダイ イシガキダイの違い のんべえの日記



イシガキダイ イラスト素材 フォトライブラリー Photolibrary



石鯛には2種類あるってまじっすか イシダイ イシガキダイの違い のんべえの日記



キンダイ幼魚 イシダイ イシガキダイ 天然交配個体 珍希少種 近海産海水魚類 甲殻類 海洋生物類専門アクアマリンズ



石鯛には2種類あるってまじっすか イシダイ イシガキダイの違い のんべえの日記



日本一のイシガキダイ 高知新聞記事より ち おん Snapdish スナップディッシュ Id Wjfe1a



穀雨 4月ごろ が旬のイシダイ イシガキダイは刺身か寿司で食べて でも毒に注意 東京すしアカデミー 寿司職人養成学校



イシガキダイ特集 毒がある 高級魚イシガキダイの生態まとめ 魚図鑑 暮らし の



イシガキダイ 鮮魚の産直通販 のん気な魚屋



イシガキダイの特徴や味 価格を解説 4月から旬を迎えます 牛深水産株式会社



イシダイ イシガキダイ 石鯛 石垣鯛 魚料理と簡単レシピ



しましま 魚 小さい



珍しい イシガキイシダイ 道内初展示 おたる水族館



イシダイ イシガキダイ 21 04 17 Web魚図鑑



イシガキダイ料理 土佐料理 旬の鰹がゆく



イシダイ イシガキダイ 08 08 13 Web魚図鑑



沖磯での 石物 釣り好調継続 イシダイ イシガキダイを手中 上甑島 年2月10日 エキサイトニュース



激アツ釣果情報 超が付くほどの高級魚が狙える有望地で イシダイ イシガキダイ登場 ニュース つりそく 釣場速報



青森魚類 株式会社



イシダイ 石鯛 クチグロ 旬の魚介百科



木村俊一的 イシダイストーリー Vol 4 屋久島のイシガキダイ 関西のつりweb 釣りの総合情報メディアmeme



キンダイ イシダイ イシガキダイ 天然交配個体 珍希少種 近海産海水魚類 甲殻類 海洋生物類専門アクアマリンズ



房総釣魚図鑑 No 8 イシガキダイ 房総の魚たち 陸っぱり釣り師の備忘録



イシダイ イシガキダイ 石鯛 石垣鯛 魚料理と簡単レシピ



イシダイ Wikipedia



五目釣りで定番のイシダイ イシガキダイ タカノハダイ 新島釣りキャンプ Day3 前編



初心者必見 イシダイ釣りの仕掛けの作り方を詳しく解説 関西のつりweb 釣りの総合情報メディアmeme



小鯖を好んで食べるキンダイ イシガキダイとイシダイのハーフ 釣太郎ブログ



安定感抜群 中紀 大引のイシダイ イシガキダイ 木村俊一的イシダイストーリー Vol 9 関西のつりweb 釣りの総合情報メディアmeme



磯釣りで北川さんがイシダイ イシガキダイをゲット 磯釣り カセ釣り ボート釣りの石倉渡船 三重県紀北町



イシダイ イシガキダイ 17 03 18 Web魚図鑑



あ う 調べたらイシダイとイシガキダイの雑種でイシガキイシダイというのがいるらしいけどどうなんだろ



イシガキダイ 魚類 市場魚貝類図鑑



底物師 石鯛 イシダイ イシガキダイ 石垣鯛 口白 クチジロ



イシガキダイ Wikipedia



近海産海水魚 海洋生物



イシダイ イシガキダイが手軽に釣れる 超魅力な堤防釣り ニュース つりそく 釣場速報



ライトタックルで堤防からイシダイ イシガキダイを狙おう サイズ別のタックル 仕掛けを紹介 Fujiの釣りライフ



美しいサカナに毒 イシガキダイ 横浜丸魚株式会社



魚拓シリーズ34 イシガキダイ



秋磯シーズン到来 イシダイだ イシガキダイだ 良型ヒット連発 スポニチ Sponichi Annex 社会



イシガキイシダイ 魚類 市場魚貝類図鑑



イシダイストーリー 関西のつりweb 釣りの総合情報メディアmeme



イシガキダイ 石垣鯛 釣り百科 あらゆる釣りの知識が集約



イシダイ イシガキダイ Web魚図鑑



イシダイ 魚類 市場魚貝類図鑑



青森魚類 株式会社



磯の王者イシダイ イシガキダイを狙え 秋磯の底物釣り タックル編 Tsurinews



イシガキダイ 石垣鯛 の生態と特徴 旬の時期 価格や相場をご紹介 食note



イシガキダイの特徴 見分け方 写真から探せる魚図鑑



カニなら何でも食べるイシダイ イシガキダイ 甲殻類なら何でも底物釣りの餌になります 和歌山 釣太郎 Youtube



6月21日 イシダイとイシガキダイの幼魚 駿河湾おさかなログ



きょう突きたてのイシダイとイシガキダイの皮焼き イセエビの湯がきもの 自家製トコロテンほか 日刊はまの食卓



イシダイ イシガキダイ 雑種 公益財団法人 黒潮生物研究所



イシガキダイ オスの口先は白くなる ザ 豊洲市場 公式



底物師 石鯛 イシダイ イシガキダイ 石垣鯛 口白 クチジロ



イシガキダイの特徴 見分け方 写真から探せる魚図鑑



1



釣る前に 食べる前に イシガキダイという魚を知ろう つりまる



イシダイ イシガキダイ 08 10 13 Web魚図鑑



近畿大学が開発した石鯛とイシガキダイのハーフ キンダイ は天然化しているものもあります 釣太郎ブログ



近海産海水魚 海洋生物



イシダイ



イシダイ イシガキダイ 田中恵司 Awrd アワード



良型のイシガキダイが連発 屋久島の底物狙いは年中無休です 木村俊一的イシダイストーリー Vol 13 関西のつりweb 釣りの総合情報メディアmeme



イシダイとイシガキダイのハイブリット 写真素材 フォトライブラリー Photolibrary



イシガキダイ イシダイが連発 和歌山由良町 上野渡船 スポニチ Sponichi Annex 社会



イシガキイシダイ 魚類 市場魚貝類図鑑



イシダイ Web魚図鑑



イシダイ イシガキダイが手軽に釣れる 超魅力な堤防釣り ニュース つりそく 釣場速報



イシダイ 石鯛 イシガキダイ 石垣鯛の栄養価と効用 旬の魚介百科



イシガキダイ 石垣鯛 釣り百科 あらゆる釣りの知識が集約



近海産海水魚 海洋生物



カワハギ



イシダイってどんな魚 イシダイ釣りに興味がわいたら最初に読むコーナー



底物師 石鯛 イシダイ イシガキダイ 石垣鯛 口白 クチジロ



イシガキダイ 魚類 市場魚貝類図鑑



イシガキダイ Idc Pedia



イシガキダイは底物釣りの大本命 流行りのライトタックルでの狙い方 Tsuri Hack 釣りハック



イシダイ イシガキダイ 08 10 13 Web魚図鑑



魚の質問箱



イシダイ イシガキダイ好調 2尾手中 石物釣り 和歌山県 中紀 Tsurinews



磯の王者イシダイ イシガキダイを狙え 秋磯の底物釣り タックル編 Tsurinews



イシガキダイの特徴 見分け方 写真から探せる魚図鑑



イシダイ 縞が消えかかる頃 北の一等星



イシガキダイ Wikiwand



どっちが旨いの イシダイとイシガキダイを食べ比べると驚きの結果に 笑 Youtube



イシダイ イシガキダイ 21 04 12 Web魚図鑑



釣った魚で食中毒 長引く手足ピリピリ 原因は魚の毒 朝日新聞デジタル



知恵の輪 さかな イシダイ イシガキダイ



イシダイとイシガキダイのスタンプ Lineスタンプ きよにい



イシダイ イシガキダイ 石鯛 石垣鯛 魚料理と簡単レシピ



必殺エサで食いつき抜群 四国 高知の一文字のイシダイ イシガキダイ落とし込み釣り釣行記を大公開



底物師 石鯛 イシダイ イシガキダイ 石垣鯛 口白 クチジロ



イシガキダイ 石垣鯛 釣り百科 あらゆる釣りの知識が集約



鳥羽磯部漁業協同組合 イシダイ イシガキダイ 珍しいイシガキイシダイが揚がっていましたよ Facebook


0 件のコメント:
コメントを投稿